Une Semaine de victoire pour les Champeix!
>>Retour aux actualités
Au cours des 2 derniers week-end, les chevaux Champeix se sont
illustrés brillament en concours d'élevage et en concours complet!
Lors de la finale nationale des Poulinières Anglo-arabes, pour sa
dernière participation, la belle Ceres de Champeix termine 3ème
avec 7,25 de moyenne. La jument nous a démontré ensuite lors de la
remise des prix que la musique et les applaudissements, elle aimait
ça!
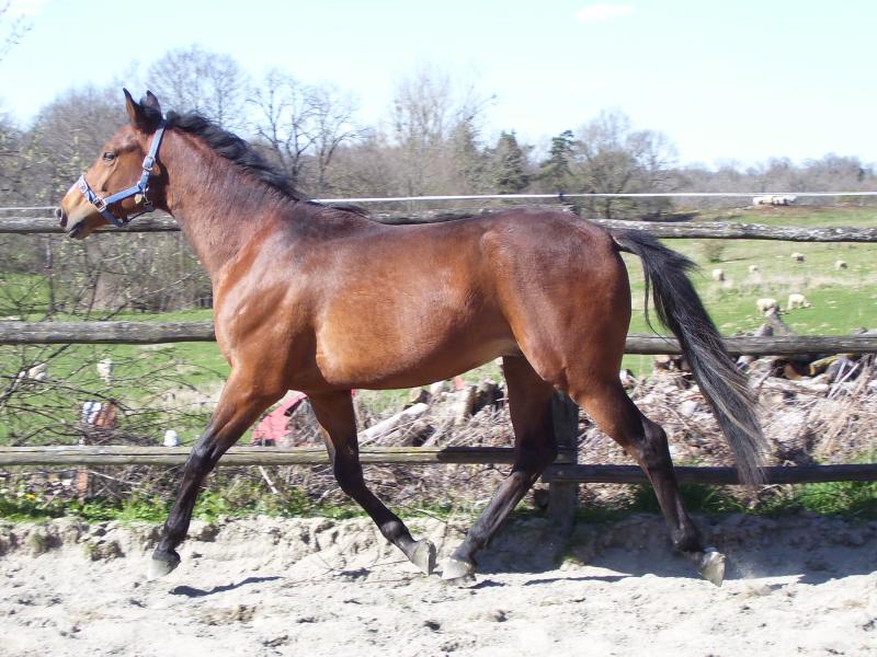
Au même moment, son fils, le sublime Sorritor Champeix est parti pour la Normandie en compagnie de Danae Champeix et Alpha Quilis!
Et ce week-end, Oural Champeix et Frédéric Gremont remportent l'Amateur 2 préparatoire et Magnolia Champeix termine 3ème de sa première épreuve Pro 2 avec Ariane Malençon.
Au même moment, son fils, le sublime Sorritor Champeix est parti pour la Normandie en compagnie de Danae Champeix et Alpha Quilis!
Et ce week-end, Oural Champeix et Frédéric Gremont remportent l'Amateur 2 préparatoire et Magnolia Champeix termine 3ème de sa première épreuve Pro 2 avec Ariane Malençon.
